SIGN UP CUSTOMER LOGIN
Main Photo

4 Total Photos [Click to View All]

Main Photo
Main Photo

5715 S Calumet Avenue Chicago, IL 60637

$159,900
New / MLS# 12626614 / Land - Farm / Chicago
0 Beds

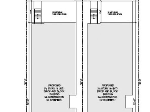
Multi Site Portfolio Opportunity - This lot is a Prime RM-5 Development Opportunity - Oversized 66' x 178' (11,748 SF) cleared lot with no demolition required. Offering strong multifamily density potential. Preliminary plans drafted for two (2) 3-story buildings totaling 12 units (plans not approved). Ideal for developers-build as designed or maximize density under current zoning. Builder available to assist with any full design/build execution. Sold as-is, where-is. Buyer to verify zoning, plans, and approvals. Portfolio / Opportunity: This Property is part of a multi-lot scattered-site portfolio across the Washington Park and West Woodlawn neighborhoods. Preliminary planning and diligence completed for a proposed 33-unit multifamily scattered site development (plans not approved). Ideal for investors seeking scale in a rapidly developing corridor, with flexibility to execute the current concept or optimize density. Builder and contractor team in place for streamlined execution.

Read More » Read Less »

Baird & Warner David Schwartz Agent Cell: 224.392.1641 Email

Mortgage Calculator

%
years/fixed
yearly
yearly (est.)
(Payments are an estimate and may vary by lender)

Estimated Payment

$ 756.22 per month $355.33 Principal & Interest $354.25 Property Tax $46.64 Homeowner's Insurance
Get your competitive financing options.

Property Details

Property Type: Land - Farm
Lot Size: 0.27 Acres
Taxes: $4,251

Feature Descriptions

Current Use: Agricultural
Frontage: 66
Frontage Type: City Street
Lot Dimensions: 66X170
Parcel#: 20151180040000
Possible Use: Multi-Family
Road Surface: Other
Township: South Chicago
Utilities: None

Schools

School District: District 299

Disclaimer: The accuracy of all information regardless of source, including but not limited to square footage and lot size, is deemed reliable but not guaranteed nor warranted and should be personally verified through personal inspection by and/or with the appropriate professionals.

Location

See details and scored characteristics about this location.

Listing Office: Home One Realty

Listing Office Phone: 708-214-6425



Listing data and photos distributed by MLSGRID
Member Participants (and their affiliated licensees, if applicable) shall indicate on their websites that IDX information is provided exclusively for consumers’ personal non-commercial use, that it may not be used for any purpose other than to identify prospective properties consumers may be interested in purchasing, that the data is deemed reliable but is not guaranteed by MLS GRID, and that the use of the MLS GRID Data may be subject to an end user license agreement prescribed by the Member Participant’s applicable MLS if any and as amended from time to time. MLS GRID may, at its discretion, require use of other disclaimers as necessary to protect Member Participant, and/or their MLS from liability.
Based on information submitted to the MLS GRID. All data is obtained from various sources and may not have been verified by broker or MLS GRID. Supplied Open House Information is subject to change without notice. All information should be independently reviewed and verified for accuracy. Properties may or may not be listed by the office/agent presenting the information.


Login to my Baird & Warner account

Pixel